Tag: FLORIDA

MUŠKARAC OSUĐEN NA DOŽIVOTNI ZATVOR ZA POKUŠAJ ATENTATA...

Ryan Routh, muškarac optužen da se skrivao u grmlju golf terena na Floridi s pol...

ZA PUCNJAVU NA FLORIDI ODGOVORAN SIN ZAMJENIKA ŠERIFA, ...

Glavni osumnjičeni za pucnjavu na Državnom sveučilištu Floride je sin zamjenika ...

BRAĆA TATE SLETJELA NA FLORIDU

Zrakoplov koji prevozi braću Tate sletio je na aerodrom u Fort Lauderdaleu, Flor...

PRIZORI S FLORIDE SU ZASTRAŠUJUĆI!

Milton je sada uragan 1. kategorije, no iza sebe je u pojedinim dijelovima držav...

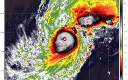
OLUJA STOLJEĆA IDE NA FLORIDU, MILIJUNI BJEŽE

Florida se priprema za jednu od najjačih tropskih oluja u posljednjih stotinu go...

URAGAN MILTON PRIJETI VEĆ RAZORENOJ FLORIDI

Očekuje se da će uragan Milton, ocijenjen kategorijom 4 u utorak ojačati dok pri...

FLORIDA PROGLASILA IZVANREDNO STANJE, SPREMA SE NOVA TR...

Guverner Floride proglasio je u subotu izvanredno stanje u 35 okruga zbog prijet...

U URAGANU HELENE POGINULO NAJMANJE 90 LJUDI

Uragan Helene, koji je krajem prošloga tjedna poharao jugoistočne države SAD-a, ...

HELENA UZROKOVALA KAOS NA FLORIDI I U GEORGIJI, ČETVERO...

Uragan Helena protutnjala je Floridom i Georgijom pod okriljem noći u petak i us...

TTRUMP PODRŽAVA LEGALIZACIJU KANABISA NA FLORIDI

Republikanski predsjednički kandidat Donald Trump rekao je da će na referendumu ...

Zadarski portal koristi kolačiće (cookies) za poboljšanje korisničkog iskustva. Postavke kolačića mogu se kontrolirati i podešavati u vašem web pregledniku. Nastavkom pregleda web stranice Zadarski portal, slažete se s korištenjem kolačića. Za nastavak pregleda i korištenja web stranice Zadarski portal, molimo kliknite na gumb "Slažem se".