SUPERTAJFUN PRIJETI FILIPINIMA, EVAKUIRANO GOTOVO MILIJUN LJUDI

Supertajfun Fung-wong približava se u nedjelju Filipinima, gdje je evakuirano gotovo milijun ljudi, manje od tjedan dana nakon prolaska razornog tajfuna Kalmaegija.

09.11.2025. - 10:21
09.11.2025. - 10:44
SUPERTAJFUN PRIJETI FILIPINIMA, EVAKUIRANO GOTOVO MILIJUN LJUDI
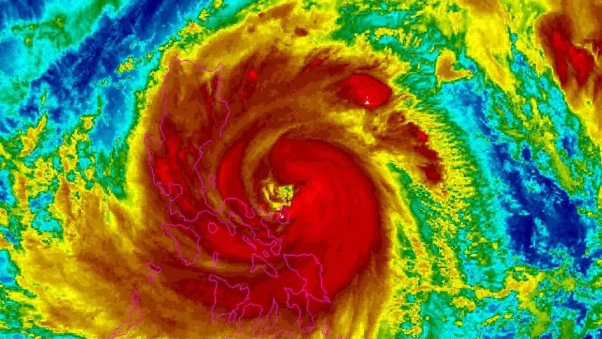
Foto: Tajfun pogodio Filipine Foto: Afp

Tajfun Fung-wong, čiji promjer pokriva gotovo cijelu zemlju, kreće se prema arhipelagu s istoka, s vjetrom od 185 km/h is udarima vjetra koji dosežu 230 km/h.

Nacionalna meteorološka služba očekuje da će tijekom noći stići do kopna.

Do ranog poslijepodneva evakuirano je ukupno 916.863 ljudi, rekao je na konferenciji za novinare visoki dužnosnik Civilne zaštite Rafaelito Alejandro.

Škole i javne zgrade ostat će u ponedjeljak zatvorene u većem dijelu zemlje, uključujući i glavni grad Manilu, a gotovo 300 letova već je otkazano, objavile su vlasti.

Valovi su počeli udarati oko sedam sati po lokalnom vremenu.

"Kad udare u lukobran, osjeća se kao da se tlo trese", rekao je Edson Casarino, stanovnik otoka Catanduanes na sjeveroistoku zemlje.

"Pada jaka kiša i puše vjetar", rekao je 33-godišnjak u telefonskom razgovoru za AFP.

Meteorološka služba upozorila je da je mali otok u opasnosti da ga izravno pogodi tajfun Fung-wong jer mu je središte ciklone najbliže.

Južnije, na otoku Mindanao, poplave uzrokovane obilnim kišama povezanim s dolaskom Fung-wonga poremetile su promet već u subotu.

Očekuje se da će Fung-wong donijeti oborine "od 200 milimetara ili više, što može uzrokovati raširene poplave, ne samo u nizinskim područjima", upozorio je meteorolog Benison Estareja.

Ovaj supertajfun će pogoditi arhipelag samo nekoliko dana nakon Kalmaegija, koji je prema najnovijim vladinim podacima uzrokovao više od 224 smrtna slučaja u zemlji i bio najsmrtonosniji tajfun godine, doznaje se iz specijalizirae baze podataka EM-DAT.

Svake godine oko dvadeset oluja ili tajfuna pogodi ili se približi Filipinima, pri čemu su najsiromašnije regije općenito najteže pogođene.

Prema znanstvenicima, klimatske promjene uzrokovane ljudskom aktivnošću čine ekstremne vremenske događaje češćima, smrtonosnijima i razornijima.

   0
   0